Our waterfront property offers guests the unique opportunity for shallow water snorkelling directly from the shore. You can enter calm, shallow waters and explore marine life without needing a boat.
The snorkeling area extends roughly 25–30 feet from the shoreline, with depths of approximately 1–2 metres (3–6.5 feet), making it ideal for beginners and casual snorkelers. Water conditions and depths vary with weather and tides. The bay deepens further out, offering more adventurous swimming opportunities for those who wish to explore.
Access begins with terraces and steps across the property, and guests must have sufficient mobility to safely navigate these, as well as the slippery steps and rocks leading into the water. We recommend wearing water shoes and using any appropriate safety equipment for your chosen water activities to ensure a safe and enjoyable ocean experience.
La Vista Antigua sits on a sheltered bay ideal for calm water snorkelling. Conditions are generally gentle, making it perfect for inexperienced snorkelers or anyone who prefers a quiet, low-pressure experience.
The bay allows you to explore at your own pace, with opportunities to stand comfortably in the water near the shore, and enjoy the sea with minimal disturbance from motorized activities.
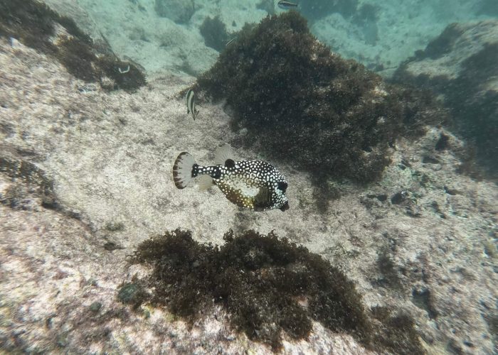
Guests can enjoy observing Antigua marine life in waters only about 20 feet from the property. Our guests have reported sighting:
Wildlife sightings are natural and unpredictable, adding to the authentic experience.
Main fish: Boxfish / Trunkfish (likely Smooth Trunkfish, Lactophrys triqueter)
A small reef fish common throughout the Caribbean.
Shape: Box-like, angular body typical of trunkfish.
Coloration: White spots on a darker body, often seen in juveniles or variant individuals.
Habitat: Shallow reef and rocky areas, including Antigua and nearby snorkel locations.
Behavior: Moves slowly and is generally unbothered by snorkelers.
Often found near rocky, shallow areas and seagrass beds.
Beyond snorkeling, our calm bay is perfect for water lazing:
Jet skis, and noisy speedboats, (except rescue boats from St. James our neighbour), are rarely sighted. Just peaceful water enjoyment directly from your accommodation.
* Steps and rocks can be slippery — take care entering and exiting the water
* Water conditions vary with weather and tide
* Observe marine life respectfully — do not touch or disturb
* Ideal for guests who value safety and calm waters
* Couples or small groups seeking boutique Antigua accommodation with immediate water access
* Inexperienced snorkellers or anyone wanting shallow snorkelling in Antigua
* Guests who prefer calm bay snorkelling Antigua over busy, motorised beaches
EXCELLENT Based on 16 reviews Posted on Ann GarciaTrustindex verifies that the original source of the review is Google. Are you looking for a scenic peaceful and relaxing get away in the beautiful island of Antgua then La Vista Antigua is your choiced location. Off the beaten track and overlooking the famous English Harbour, hosts Micheal and Karen speared no opportunity to make me and my husband feel as if we were part of their family. Spacious rooms with double balcony take advantage of the early morning sunrise and the cool and breezy sunset . Michael and Karen made us feel as if we have known each other for years when in fact it was our first encounter. The pool area and the landscaping are simply therapeutic. From the waterfront we enjoyed seeing the schools of fish pass by and we even tried our luck at some fishing, but without any luck. We will be back to catch some of those fish to put on the barbecue pit which is ideally located in the waterfront area. Truly a location for rest and restoration with your special one.Posted on Janice KimTrustindex verifies that the original source of the review is Google. La Vista was truly an amazing place with such beautiful views. With wonderful hosts Michael and Karen, they made my husband and I feel at ease and made this place truly cozy. The room featured a king size bed with free wifi, a kitchen, lounge area, and beautiful views right off your balcony! We lounged by the pool, and swam in the ocean right in the back of this hotel. We got in contact with the hosts and Michael was gracious enough to give us a ride from the airport and he showed us some fruit vendors and pointed out places for us to check out. We encountered Karen when we finally arrived and she gave us a room tour of the room we would be staying in for the next couple of days. This hotel is truly off the beaten path and you can encounter some wildlife such as goats and sheep. (We were lucky enough to see them on the path but we also saw them right off our balcony!) My husband and I also enjoyed fishing off of the dock and caught some fish which we grilled up that night. This was really an amazing place to wake up in everyday, and we can't wait to be back!Posted on Gerald ChristTrustindex verifies that the original source of the review is Google. A beautiful place in a remote location. We loved being away from the main stream. Thanks to Karen the host, she provided us with valuable information prior to arrival. The road to get there is rough so rent a SUV and you will be fine. We enjoyed our time tremendously, used the pool and swam in the ocean just in front of our apartment. There are good restaurants in the area as well as English Harbor, a great place to hang out, is quite close. We had a wonderful time and can recommend this place especially for couples and small groups.Posted on Ariel SheetsTrustindex verifies that the original source of the review is Google. Karen was a lovely host, with a beautiful property. I was fortunate enough to have the space to myself for a portion of the trip, and the quiet privacy is so rare and such a wonderful experience. Definitely stop at a grocery store before arriving if you're not planning on renting a car, as driving in and out wasn't the easiest- but Karen was nice enough to meet my cab when arriving AND arranged for ride back to the airport (shout out to Sharon and her cab service!) The added touches of some food/water in the fridge, soap, oil, and coffee/tea was very helpful and made my groceries stretch even further. Thank you for breakfast! And thank you again for hosting me for SUCH a relaxing peaceful week 💜 I hope to return soon. The room was spacious and lovely, the bed was incredibly comfy, the views and patios were breathtaking, the kitchenette made it possible to have breakfast by sunrise every morning, the bathroom was huge and super clean, and with all 3 doors and the window slats open, I didn't even need the AC with that wonderful ocean breeze. So relaxingPosted on Carla HaskellTrustindex verifies that the original source of the review is Google. My husband and I treated ourselves with a 3 day stay at LaVista after sailing for a week. Our suite had stunning views of Mamora Bay off our balcony. We watched the sunrise every morning with our coffee and swam in the bay and in the pool to cool off in the late afternoon. The kitchenette allowed us to cook wonderful meals for ourselves and our first night our host Michael even provided a barbecue to cook our meat. We really can’t say enough about the care our hosts took to make sure we were accommodated. The location is quiet and remote. A car is needed as it is not an easy drive for taxi’s but the location is only a 15 minute drive from the busy English Harbor. We hope to return in the coming years.Posted on hollie CammackTrustindex verifies that the original source of the review is Google. We stayed here with our sailing crew for the Caribbean 600 regatta and it was perfect for all of us.Posted on Geoff ManchesterTrustindex verifies that the original source of the review is Google. We had a great stay over Christmas and new years. The space is prefect, very well laid out and finished perfectly. We cooked breakfast in the kitchen most mornings and it felt like home. Karen and her husband are gracious hosts and very lovely people! Thanks for having us.Posted on Anna MikhaylovaTrustindex verifies that the original source of the review is Google. Great space with a great view! Very friendly host nice location, own access to the beachPosted on Anderson ContrerasTrustindex verifies that the original source of the review is Google. Para ir er y yoPosted on Juliette VirginTrustindex verifies that the original source of the review is Google. My husband and I were part of a group of four that stayed at the LaVista Antigua for 3 nights . From the moment we arrived at the location we knew we had found a hidden gem. The hosts Karen and Micheal were welcoming and very attentive to our needs. Our suite was spacious and comfortable with all the necessary amenities. The lawn was well-manicured with lots of spaces to lyme if you are part of a group or if you just want to relax by yourself. Along with the exceptionally clean pool there is direct access to the ocean and the view is to die for. If you want to stay somewhere a little off the beaten path in Antigua then Lavista is definitely the place to stay.Verified by TrustindexTrustindex verified badge is the Universal Symbol of Trust. Only the greatest companies can get the verified badge who has a review score above 4.5, based on customer reviews over the past 12 months. Read more